岩手県指定史跡「久慈城跡」
久慈城跡は久慈市大川目町新町地区に所在する戦国時代の山城で、久慈地方を領地とした武士の一族「久慈氏」の居城でした。城跡は良好な保存状態で残されており、その文化財的価値が認められ、令和4年4月8日付で岩手県指定史跡に決定しました。
久慈城跡は自由に見学できます。四季による景観の変化や久慈の歴史を感じながら散策してみてはいかがでしょうか。

久慈城跡
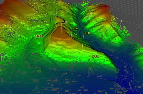
久慈城は別名八日館や新町館とも呼ばれ、海抜約80メートル、平地からの高さ約40メートルを測る、独立した丘陵に築かれた山城です。城跡に登ると、久慈川沿いに開けた平野を一望できる守りに有利な地となっており、久慈川の支流である切金川と、人工的な堀川に囲まれています。主郭と呼ばれる最も高い平場から東方向に5段の平場(郭)が連続して築かれており、中世の連郭式の山城の特徴を備えています。郭のほか、堀切や竪堀、馬場跡、井戸跡など、当時のままの状態で良好に保存されています。
久慈城は、戦国時代、久慈地方を領地とした久慈氏の居城でした。

久慈城跡航空写真(南東→北西):城跡を彩色
ドローンを用いたレーザー測量で城跡の地形が明らかに(大川目町まちづくり協議会提供)
久慈氏
久慈城は、久慈地方の領主であった久慈氏の居城でした。久慈氏は、北東北一帯を広く勢力下においた武家、南部氏の一族です。久慈氏の祖先は、南部氏初代・南部光行の子、朝清とされていますが、朝清から治政までの時世については、ほとんど分かっていません。久慈氏の事績について記録に現れるのは、久慈備前守信実からとなります。(注釈)
久慈備前守信実が「居を久慈大川目八日館に構え」、「文明年中に久慈を領して久慈氏と称す」などの記録があり、文明年間(1469~87)に信実が久慈城を一族の居城と定めたものと推定されています。以後100年以上の間、久慈氏は久慈城を拠点として久慈地方を治めました。
天正19年(1591)、南部氏の後継争いに端を発し、九戸城主・九戸政実と三戸城主・南部信直が争った戦「九戸一揆」が起こり、このとき天下統一を目前としていた豊臣秀吉の命により大軍勢が南部方に加勢、大規模な戦に発展しました。久慈城主の久慈備前守直治は、娘婿久慈政則とともに九戸方の武将として参戦しました。
九戸一揆の緒戦は九戸方が優勢でしたが、豊臣秀次を総大将とする大軍の前に後退せざるを得ず、最後の拠点となる九戸城に籠城します。城内の九戸方5千に対し、九戸城を包囲する軍勢は6万5千ともいわれ、大きな兵力差がありましたが、九戸方は善戦し、対する包囲軍は損害を増していきました。
包囲軍の武将・浅野長政は九戸方に和議をもちかけ、命と領地は保証するとして降伏勧告を行い、九戸方はこれを承諾、ついに降伏開城しました。しかし和議の約定は守られず、久慈備前守直治・政則父子は、九戸政実と九戸方の武将らとともに捕らわれの身となり、栗原郡三迫(現在の宮城県栗原市)に送られて処刑されました。
「九戸一揆」の際に久慈城は戦場とはなりませんでしたが、城主である久慈氏の直系が滅亡し、城は豊臣秀吉の諸城破却命令により取り壊されました。天正20年(1592)6月の破却書立には「久慈山城破却」と記されています。
(注釈)久慈氏の始祖や家系については諸説あり、史料により異なるところです。
久慈氏(直系)系図
九戸方の武将が処刑された場所
「九戸政実首級清めの池」
(宮城県栗原市)
参考:固有名詞の読み方など
【大川目町】おおかわめちょう 【新町】しんまち 【八日館】ようかだて 【新町館】しんまちたて 【切金川】きりがねがわ 【栗原郡三迫】くりはらぐん さんのはさま
【郭】くるわ…城内に築かれた人工的な平場。曲輪とも 【主郭】しゅかく…城郭の中で最も主要な郭。久慈城跡においては一番の高所にある 【馬場跡】ばばあと…馬をつなぎ止める場所 【堀・濠】ほり…敵の侵入を防ぐために掘られた幅の広い溝。水をたたえた堀を「濠」と表す 【堀切】ほりきり…尾根を断ち切るように掘られた堀 【竪堀】たてぼり…斜面に対し縦方向に切られた堀。敵兵の横方向への移動を妨害するもの
【久慈備前守直治】くじ びぜんのかみ なおはる 【九戸政実】くのへ まさざね 【南部信直】なんぶ のぶなお
久慈城跡の周辺
久慈城跡の周辺には、城と城下にまつわる旧地名が残されています。「堀川」は城の濠跡にあたる場所で、現在、城跡に沿って流れる細い水路は、城の取り壊しの際に濠を埋め立てた跡であると推測されます。
「たな場」の"たな"とは商店のことで、ここはまっすぐな道の左右に町屋が並ぶ経済活動の中心地であったと想像されます。
「堀屋敷」は、現在は広い畑地となっていますが、土地の南西側に堀跡が残されており、かつては周囲に堀をめぐらせた居館跡であったと思われます。戦国時代の城は戦などの有事の際に登城する場所であり、武士たちの普段の住居は城外の平地にありました。堀屋敷は、城主など身分の高い武将の平時の住まいであった可能性があります。
久慈城跡周辺の地名
「堀屋敷」ほか
久慈城跡の調査
平成3年に市教育委員会が主郭の発掘調査を行い、建物跡の柱穴が発見され、実際に建物があったことが明らかになりました。建物は少なくとも3度の建て替えが行われていると考えられます。15世紀頃と推定される建物跡も確認されており、これは久慈氏が久慈城を居城とした年代とも一致します。
久慈城跡の保存活動
久慈城跡が県指定史跡となるにあたっては、地域住民による保護活動が文化財保護の模範的な取り組みであるとして、高く評価されました。大川目中学校は、全校生徒によるボランティア活動を実施。城跡の草刈りや清掃、落ち葉、枯れ木の撤去作業といった史跡の環境整備を平成29年から継続して行っています。清掃活動前には久慈城跡の歴史を学び、地域の誇りである城跡を守り伝えていこうという取り組みがなされています。
令和元年8月には、久慈城跡保存協議会が設立されました。同協議会では史跡の保存はもとより、「御城印プロジェクト」の運営を通じて地域と連携し、久慈城跡について多くの人に知ってもらおうと取り組んでいます。
大川目中学校生徒による清掃活動
久慈城の御城印
和紙に城の名前と城主の家紋をあしらったものが「御城印」で、城跡を訪れた記念となるものです。東北各地に残る南部氏のお城が連携して「御城印プロジェクト」を展開しています。
久慈城の御城印は道の駅「土風館」で販売中です。
0 件のコメント:
コメントを投稿